Об утверждении проекта планировки и проекта межевания части территории товарищества собственников недвижимости «Черёмушки»
Номер/Дата Тип документа Орган издания Документ
№ 1690 от 17.06.2022 Постановление Администрация города 1690.pdf
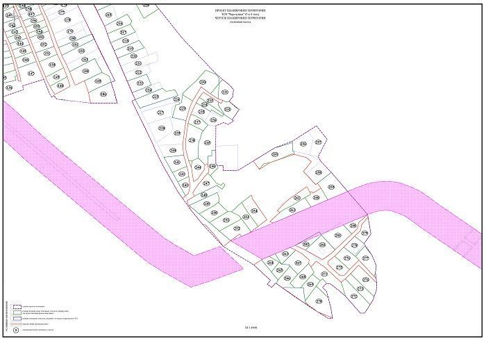
3. ППТ основная 1 лист.jpg
4. ППТ основная 2 лист.jpg
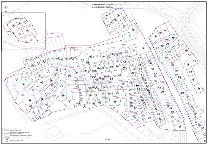
7. ПМТ 1 лист (1).jpg
8. ПМТ 1 лист (2).jpg

В соответствии со статьями 42, 43, 45, 46 Градостроительного кодекса Российской Федерации, постановлениями администрации города Мегиона от 18.04.2022 №1033

«О подготовке проекта планировки и проекта межевания части территории товарищества собственников недвижимости «Черёмушки», от 13.05.2020 №900 «Об утверждении Порядка подготовки документации по планировке территории, разрабатываемой на основании решений администрации города, порядок принятия решения об утверждении документации по планировке территории, порядок внесения изменений в такую документацию, порядок отмены такой документации или её отдельных частей, порядок признания отдельных частей такой документации не подлежащими применению на территории города Мегиона»
(с изменениями), на основании заключения по проекту планировки и проекту межевания части территории товарищества собственников недвижимости «Черёмушки» от 18.05.2022 №07-Исх-1374, протокола общественных обсуждений от 06.06.2022, заключения о результатах общественных обсуждений от 07.06.2022:

1.Утвердить проект планировки и проект межевания части территории товарищества собственников недвижимости «Черёмушки», согласно приложению.

2.Управлению общественных связей администрации города Мегиона (О.Л.Луткова) в течение 7 (семи) дней со дня издания постановления опубликовать постановление в газете «Мегионские новости» и разместить на официальном сайте администрации города в сети Интернет.

3.Настоящее постановление вступает в силу после его официального опубликования.

4.Контроль за выполнением постановления возложить на заместителя главы города.  

Глава города                                                                                                                   О.А.Дейнека

Приложение 1

к постановлению администрации города Мегиона

от 17.06. 2022 № 1690

 

Общество с ограниченной ответственностью «Землеустроитель»

 

Ханты-Мансийский автономный округ – Югра, город Мегион

 

    ПРОЕКТ ПЛАНИРОВКИ ТЕРРИТОРИИ

Заказчик:

Товарищество собственников недвижимости «Черемушки».

 

Место разработки:

Ханты-Мансийский автономный округ – Югра, городской округ город Мегион, город Мегион, территория ТСН «Черёмушки».

г.Мегион

2022 г.

Положение о планировке территории

Содержание

1. Введение

2. Положение о характеристиках планируемого развития территории  

3. Положение об очередности планируемого развития территории

1. Введение

Проект планировки ТСН «Черёмушки» (3 и 4 этап) выполнен в соответствии с требованиями следующих основных законодательных и нормативных документов Российской Федерации, и нормативных правовых актов городского округа город Мегион:

ü Градостроительный кодекс Российской Федерации;

ü Земельный кодекс Российской Федерации;

ü Федеральный закон от 22.07.2008 №123-ФЗ «Технический регламент о требованиях пожарной безопасности»;

ü Федеральный закон от 29.07.2017 №217-ФЗ «О ведении гражданами садоводства и огородничества для собственных нужд и о внесении изменений в отдельные законодательные акты Российской Федерации»;

ü СП 42.14030.2011 «Градостроительство. Планировка и застройка городских и сельских поселений»;

ü Правила землепользования и застройки городского округа город Мегион, утверждённые решением Думы города Мегиона от 21.06.2019 №365;

ü СНиП 30-02-97* «Планировка и застройка территорий садоводческих (дачных) объединений граждан, здания и сооружения».

Проект планировки территории выполнен в целях установления границ      незастроенных земельных участков, планируемых для предоставления физическим лицам для садоводства, огородничества.

Проект планировки территории выполнен на основании сведений государственного кадастра недвижимости.

Проект разработан на основании протокола от 25.12.2021 №10 внеочередного собрания товарищества собственников недвижимости «Черёмушки» на котором было принято решение о разработки проекта планировки и проекта межевания территории ТСН «Черёмушки» 3 и 4 этапы.

2. Положение о характеристиках планируемого развития территории

Территория ТСН «Черёмушки» соединена подъездной дорогой с автомобильной дорогой общего пользования обслуживающая базу отдыха «Таёжное озеро».

Имеется шесть въездов с дороги обслуживающей базу отдыха «Таёжное озеро» на территорию ТСН. Планировочное решение территории ТСН должно обеспечивать проезд автотранспорта ко всем участкам и объектам общего пользования. Здания и сооружения общего пользования должны отстоять от границ участков не менее чем на 3 м.

По проекту планировки территории ТСН отвод поверхностных стоков и дренажных вод с территории предусмотрен в болото, расположенное в границах ТСН, а также в кюветы и канавы.

ТСН «Черёмушки» состоит из земельных участков с кадастровыми номерами 86:19:0000000:6562, 86:04:0000001:112544  и земель индивидуальных земельных участков.

По периметру садовых, огороднических участков рекомендуется устраивать сетчатое ограждение. По обоюдному письменному согласию владельцев соседних участков (согласованное председателем ТСН) возможно устройство ограждений других типов.

Допускается по решению общего собрания членов ТСН устройство глухих ограждений со стороны улиц и проездов.

На садовом, огородническом участках следует предусмотреть устройство компостной площадки, ямы или ящика, надворной уборной.

На земельном участке для садоводства могут возводиться жилой дом или садовый дом, хозяйственные постройки и сооружения, в том числе теплицы, летняя кухня, баня (сауна), душ, навес или гараж для автомобиля.

Между домами, расположенными на противоположных сторонах проезда, должны быть учтены противопожарные расстояния, указанные в таблице 1. По согласованию с председателем ТСН навес или гараж для автомобиля может размещаться на участке, непосредственно примыкая к ограде со стороны улицы или проезда.

Материал несущих и ограждающих конструкций строения

Расстояние, м

А

Б

В

А

Камень, бетон, железобетон и другие негорючие материалы

6

8

10

Б

То  же,  с  деревянными  перекрытиями  и  покрытиями, защищенными негорючими и трудногорючими материалами

8

10

12

В

Древесина,   каркасные   ограждающие   конструкции   из негорючих, трудногорючих и горючих материалов

10

12

15


Основные показатели планируемого развития

Основные технико-экономические показатели планировки территории приведены в таблице.

№ п/п

Показатели

Ед. изм.

Кол-во

1

Территория в границах планировки территории

га

32,04

2

Площадь образуемых земельных участков

га

12,21

3

Площадь сохраняемых земельных участков

га

10,89

4

Территория общего пользования (улицы, проезды, участки зелёных насаждений)

га

8,94

Показатели планируемого развития территории позволяют сделать вывод, что параметры застройки территории соответствуют градостроительному регламенту.

Минимальные расстояния до границы соседнего участка по санитарно-бытовым условиям должны быть:

от жилого дома (или садового дома) – 3 м;

от постройки для содержания мелкого скота и птицы – 4 м;

от других построек – 1 м;

от стволов высокорослых деревьев – 4 м, среднерослых − 2 м;

от кустарника – 1 м.

Минимальные расстояния между постройками по санитарно-бытовым условия должны быть, м:

от жилого дома или садового дома до душа, бани (сауны), уборной – 8;

от колодца до уборной и компостного устройства – 8.

Указанные расстояния должны соблюдаться между постройками, расположенными на смежных участках.

В случае примыкания хозяйственных построек к жилому дому или садовому дому расстояние до границы с соседним участком измеряется отдельно от каждого объекта блокировки.

Гаражи для автомобилей могут быть отдельно стоящими, встроенными или пристроенными к садовому дому или хозяйственным постройкам.

На садовых участках мощностью 0,06−0,12 га под строения, отмостки, дорожки и площадки с твердым покрытием следует отводить не более 30% территории.

Под жилым домом или садовым домом и хозяйственными постройками допускается устройство подвала и погреба.

Высота жилых помещений принимается от пола до потолка не менее 2,2 м. Высоту хозяйственных помещений, в том числе расположенных в подвале, следует принимать не менее 2 м, высоту погреба не менее 1,6 м до низа выступающих конструкций (балок, прогонов).

Лестницы, ведущие на второй этаж (в том числе на мансарду), могут располагаться как внутри, так и снаружи жилых строений или садовых домов.

           Параметры указанных лестниц, а также лестниц, ведущих в подвальное и цокольные этажи, принимаются в зависимости от конкретных условий и, как правило, с учетом требований СП 55.13330.

Не допускается организация стока дождевой воды с крыш на соседний участок.

Дороги, проезды

Для обеспечения внутренней транспортной связи ТСН «Черёмушки» с земельными участками предусмотрены дороги, проезды. Дороги обычного типа (не скоростная дорога). Функциональное назначение – вспомогательная − предназначена для перевозки лично-хозяйственных и вспомогательных грузов, для проезда пожарных и аварийных машин.

Общая протяженность дорог и проездов составляет 3,1 км. Направление северо-южное, западно-восточное.

Расчетный объем грузоперевозок – дорога с невыраженным грузооборотом. Дороги проложены в одном коридоре с существующими линиями ВЛ-0,4кВ.

Линии электропередач ВЛ-0,4 кВ

Основным источником электроснабжения существующих ВЛ-0,4 кВ является существующая трансформаторная подстанция.

Трансформаторная подстанция проверена на возможность подключения дополнительных электрических нагрузок.

3. Положение об очередности планируемого развития территории

Этапы проектирования и строительства объектов дачного и иного назначения должны быть выполнены в соответствии с нормами проектирования законодательства, не допускающие вреда здоровью граждан, постоянно или временно проживающих на территории ТСН, порчу имущества членов садового товарищества и общего имущества ТСН.

Реконструкцию объектов, расположенных в границах ТСН, относящихся к имуществу общего пользования (электричество, транспортная сеть), должны проводить по мере необходимости. Очередность строительства и реконструкции устанавливается правлением ТСН, исходя из бюджета товарищества.

Финансирование работ производится из средств товарищества, за счет накоплений фонда членских взносов.

Реконструкция объектов, расположенных в границах индивидуальных дачных участков, производится по мере необходимости за личные средства пользователя данного участка, не допускающие вреда здоровью граждан, постоянно или временно проживающих на территории ТСН, порчу имущества членов садового товарищества и общего имущества ТСН.

Программа комплексного развития не разрабатывалась.


  Приложение 2

к постановлению администрации города Мегиона

от 17.06.2022 №1690

Общество с ограниченной ответственностью «Землеустроитель»

Ханты-Мансийский автономный округ – Югра, город Мегион

ПРОЕКТ МЕЖЕВАНИЯ ТЕРРИТОРИИ

Заказчик:

Товарищество собственников недвижимости «Черемушки».

Место разработки:

Ханты-Мансийский автономный округ – Югра, городской округ город Мегион, город Мегион,                         территория ТСН «Черёмушки».

г.Мегион

Положение о межевании территории

Содержание

1. Введение

2. Перечень и сведения о площади, видах разрешенного использования образуемых земельных участков, в том числе возможные способы их образования.

3. Перечень и сведения о площади, видах разрешенного использования образуемых земельных участков, которые будут отнесены к территориям общего пользования или имуществу общего пользования, в том числе в отношении которых предполагаются резервирование и (или) изъятие для государственных или муниципальных нужд.

1.Введение

В соответствии со статьёй 43 Градостроительного кодекса Российской Федерации, подготовка проектов межевания территории осуществляется применительно к застроенным и подлежащим застройке территориям, расположенным в границах элементов планировочной структуры.

Проект межевания территории выполнен в целях установления границ незастроенных земельных участков, планируемых для предоставления физическим лицам для ведения садоводства, огородничества.

Проект межевания территории выполнен на основании сведений государственного кадастра недвижимости.

Проект межевания территории разработан на основании

2.Перечень и сведения о площади, видах разрешённого использования образуемых земельных участков, в том числе возможные способы их образования

Проектом межевания предусмотрено образование земельных участков с видом  разрешённого использования  «Ведение садоводства», путём раздела земельных участков с кадастровыми номерами 86:19:0000000:6562 и 86:04:0000001:112544, с сохранением исходных в изменённых границах, расположенных по адресу: Российская Федерация, Ханты-Мансийский автономный округ – Югра, городской округ город Мегион, город Мегион, ТСН «Черемушки», земельный участок №1а, земельный участок №2а, а также образование границ земельных участков из земель государственная собственность на которые не разграничена и перераспределение земельных участков находящихся в частной собственности.

Характеристики образуемых земельных участков представлены в таблице 1.

Таблица 1

Исходный земельный участок

Кадастровый номер земельного участка

Вид разрешённого использования

Местоположение

Площадь кв.м.

86:19:0000000:6562

Для ведения садоводства

Российская Федерация, Ханты-Мансийский автономный округ – Югра, городской округ Мегион, город Мегион, территория ТСН «Черёмушки», земельный участок 2а.

173959

86:04:0000001:112544

Для ведения садоводства

Российская Федерация, Ханты-Мансийский автономный округ – Югра, городской округ Мегион, город Мегион, территория ТСН «Черёмушки», земельный участок 1а.

76959

Образуемые земельные участки

№ п/п

Кадастровый номер земельного участка

Вид разрешён-ного использова-ния

Местоположение

Площадь

кв.м.

Способ образования земельного участка

1

86:19:0000000:6562:ЗУ1

Ведение садоводства

Российская Федерация, Ханты-Мансийский автономный округ – Югра, городской округ  Мегион, город Мегион, территория ТСН «Черёмушки», улица Центральная, земельный участок 79.

1500

Раздел земельного участка К№86:19:0000000:6562, с сохранением исходного в изменённых границах

2

86:19:0000000:6562:ЗУ2

Ведение садоводства

Российская Федерация, Ханты-Мансийский автономный округ – Югра, городской округ  Мегион, город Мегион, территория ТСН «Черёмушки», улица Центральная, земельный участок 81.

757

Раздел земельного участка К№86:19:0000000:6562, с сохранением исходного в изменённых границах

4

86:19:0000000: 6562:ЗУ4

Ведение садоводства

Российская Федерация, Ханты-Мансийский автономный округ – Югра, городской округ Мегион, город Мегион, территория ТСН «Черёмушки», улица Центральная, земельный участок 77.

1029

Раздел земельного участка К№86:19:0000000:6562, с сохранением исходного в изменённых границах

7

86:19:0000000: 6562:ЗУ7

Ведение садоводства

Российская Федерация, Ханты-Мансийский автономный округ – Югра, городской округ Мегион, город Мегион, ТСН «Черёмушки», улица Центральная, земельный участок 71.

1193

Раздел земельного участка К№86:19:0000000:6562, с сохранением исходного в изменённых границах

8

86:19:0000000: 6562:ЗУ8

Ведение садоводства

Российская Федерация, Ханты-Мансийский автономный округ – Югра, городской округ Мегион, город Мегион, территория ТСН «Черёмушки», улица Центральная, земельный участок 69.

949

Раздел земельного участка К№86:19:0000000:6562, с сохранением исходного в изменённых границах

9

86:19:0000000: 6562:ЗУ9

Ведение садоводства

Российская Федерация, Ханты-Мансийский автономный округ – Югра, городской округ  Мегион, город Мегион, территория ТСН «Черёмушки», улица Центральная, земельный участок 67.

934

Раздел земельного участка К№86:19:0000000:6562, с сохранением исходного в изменённых границах

10

86:19:0000000: 6562:ЗУ10

Ведение садоводства

Российская Федерация, Ханты-Мансийский автономный округ – Югра, городской округ Мегион, город Мегион, территория ТСН «Черёмушки», улица Центральная, земельный участок 65.

1477

Раздел земельного участка К№86:19:0000000:6562, с сохранением исходного в изменённых границах

11

86:19:0000000: 6562:ЗУ11

Ведение садоводства

Российская Федерация, Ханты-Мансийский автономный округ – Югра, городской округ Мегион, город Мегион, территория ТСН «Черёмушки», улица Центральная, земельный участок 63.

910

Раздел земельного участка К№86:19:0000000:6562, с сохранением исходного в изменённых границах

13

86:19:0000000: 6562:ЗУ13

Ведение садоводства

Российская Федерация, Ханты-Мансийский автономный округ – Югра, городской округ Мегион, город Мегион, ТСН «Черёмушки», улица Центральная, земельный участок №59.

1400

Раздел земельного участка К№86:19:0000000:6562, с сохранением исходного в изменённых границах

14

86:19:0000000: 6562:ЗУ14

Ведение садоводства

Российская Федерация, Ханты-Мансийский автономный округ – Югра, городской округ Мегион, город Мегион, территория ТСН «Черёмушки», улица Центральная, земельный участок 57.

1344

Раздел земельного участка К№86:19:0000000:6562, с сохранением исходного в изменённых границах

17

86:19:0000000: 6562:ЗУ17

Ведение садоводства

Российская Федерация, Ханты-Мансийский автономный округ – Югра, городской округ Мегион, город Мегион, территория ТСН «Черёмушки», улица Речная, земельный участок 56.

346

Раздел земельного участка К№86:19:0000000:6562, с сохранением исходного в изменённых границах

18

86:19:0000000: 6562:ЗУ18

Ведение садоводства

Российская Федерация, Ханты-Мансийский автономный округ – Югра, городской округ Мегион, город Мегион, территория ТСН «Черёмушки», улица Речная, земельный участок 54.

1166

Раздел земельного участка К№86:19:0000000:6562, с сохранением исходного в изменённых границах

21

86:19:0000000: 6562:ЗУ21

Ведение садоводства

Российская Федерация, Ханты-Мансийский автономный округ – Югра, городской округ Мегион, город Мегион, территория ТСН «Черёмушки», улица Речная, земельный участок 48.

400

Раздел земельного участка К№86:19:0000000:6562, с сохранением исходного в изменённых границах

25

86:19:0000000: 6562:ЗУ25

Ведение садоводства

Российская Федерация, Ханты-Мансийский автономный округ – Югра, городской округ Мегион, город Мегион, территория ТСН «Черёмушки», улица Речная, земельный участок 40.

912

Раздел земельного участка К№86:19:0000000:6562, с сохранением исходного в изменённых границах

26

86:19:0000000: 6562:ЗУ26

Ведение садоводства

Российская Федерация, Ханты-Мансийский автономный округ – Югра, городской округ Мегион, город Мегион, территория ТСН «Черёмушки», улица Речная, земельный участок 38.

1500

Раздел земельного участка К№86:19:0000000:6562, с сохранением исходного в изменённых границах

27

86:19:0000000: 6562:ЗУ27

Ведение садоводства

Российская Федерация, Ханты-Мансийский автономный округ – Югра, городской округ Мегион, город Мегион, территория ТСН «Черёмушки», улица Речная, земельный участок 36.

1500

Раздел земельного участка К№86:19:0000000:6562, с сохранением исходного в изменённых границах

28

86:19:0000000: 6562:ЗУ28

Ведение садоводства

Российская Федерация, Ханты-Мансийский автономный округ – Югра, городской округ Мегион, город Мегион, территория ТСН «Черёмушки», улица Речная, земельный участок 34.

411

Раздел земельного участка К№86:19:0000000:6562, с сохранением исходного в изменённых границах

29

86:19:0000000: 6562:ЗУ29

Ведение садоводства

Российская Федерация, Ханты-Мансийский автономный округ – Югра, городской округ Мегион, город Мегион, территория ТСН «Черёмушки», улица Речная, земельный участок 32.

1500

Раздел земельного участка К№86:19:0000000:6562, с сохранением исходного в изменённых границах

31

:ЗУ31

Ведение садоводства

Российская Федерация, Ханты-Мансийский автономный округ – Югра, городской округ Мегион, город Мегион, территория ТСН «Черёмушки», улица Речная, земельный участок 28.

1112

Образование земельного участка из земель, государственная собственность на которые не разграничена

32

86:19:0000000: 6562:ЗУ32

Ведение садоводства

Российская Федерация, Ханты-Мансийский автономный округ – Югра, городской округ Мегион, город Мегион, территория ТСН «Черёмушки», улица Речная, земельный участок 26.

918

Раздел земельного участка К№86:19:0000000:6562, с сохранением исходного в изменённых границах

39

86:19:0000000: 6562:ЗУ39

Ведение садоводства

Российская Федерация, Ханты-Мансийский автономный округ – Югра, городской округ Мегион, город Мегион, территория ТСН «Черёмушки», переулок Таежный, земельный участок 7.

835

Раздел земельного участка К№86:19:0000000:6562, с сохранением исходного в изменённых границах

40

86:19:0000000: 6562:ЗУ40

Ведение садоводства

Российская Федерация, Ханты-Мансийский автономный округ – Югра, городской округ Мегион, город Мегион, территория ТСН «Черёмушки», переулок Таежный, земельный участок 5.

1096

Раздел земельного участка К№86:19:0000000:6562, с сохранением исходного в изменённых границах

41

86:19:0000000: 6562:ЗУ41

Ведение садоводства

Российская Федерация, Ханты-Мансийский автономный округ – Югра, городской округ Мегион, город Мегион, территория ТСН «Черёмушки», переулок Таежный, земельный участок 3.

602

Раздел земельного участка К№86:19:0000000:6562, с сохранением исходного в изменённых границах

43

86:19:0000000: 6562:ЗУ43

Ведение садоводства

Российская Федерация, Ханты-Мансийский автономный округ – Югра, городской округ Мегион, город Мегион, территория ТСН «Черёмушки», переулок Крайний, земельный участок 8.

1086

Раздел земельного участка К№86:19:0000000:6562, с сохранением исходного в изменённых границах

48

86:19:0000000: 6562:ЗУ48

Ведение садоводства

Российская Федерация, Ханты-Мансийский автономный округ – Югра, городской округ Мегион, город Мегион, территория ТСН «Черёмушки», переулок Крайний, земельный участок 3.

626

Раздел земельного участка К№86:19:0000000:6562, с сохранением исходного в изменённых границах

49

86:19:0000000: 6562:ЗУ49

Ведение садоводства

Российская Федерация, Ханты-Мансийский автономный округ – Югра, городской округ Мегион, город Мегион, территория ТСН «Черёмушки», переулок Крайний, земельный участок 5.

1411

Раздел земельного участка К№86:19:0000000:6562, с сохранением исходного в изменённых границах

53

86:19:0000000: 6562:ЗУ53

Ведение садоводства

Российская Федерация, Ханты-Мансийский автономный округ – Югра, городской округ Мегион, город Мегион, территория ТСН «Черёмушки», улица Речная, земельный участок 18.

727

Раздел земельного участка К№86:19:0000000:6562, с сохранением исходного в изменённых границах

54

86:19:0000000: 6562:ЗУ54

Ведение садоводства

Российская Федерация, Ханты-Мансийский автономный округ – Югра, городской округ Мегион, город Мегион, территория ТСН «Черёмушки», улица Речная, земельный участок 16.

1260

Раздел земельного участка К№86:19:0000000:6562, с сохранением исходного в изменённых границах

56

86:19:0000000: 6562:ЗУ56

Ведение садоводства

Российская Федерация, Ханты-Мансийский автономный округ – Югра, городской округ Мегион, город Мегион, территория ТСН «Черёмушки», улица Речная, земельный участок 12.

379

Раздел земельного участка К№86:19:0000000:6562, с сохранением исходного в изменённых границах

60

86:19:0000000: 6562:ЗУ60

Ведение садоводства

Российская Федерация, Ханты-Мансийский автономный округ – Югра, городской округ Мегион, город Мегион, территория ТСН «Черёмушки», улица Речная, земельный участок 4.

763

Раздел земельного участка К№86:19:0000000:6562, с сохранением исходного в изменённых границах

68

86:19:0000000: 6562:ЗУ68

Ведение садоводства

Российская Федерация, Ханты-Мансийский автономный округ – Югра, городской округ Мегион, город Мегион, территория ТСН «Черёмушки», улица Речная, земельный участок 13.

1317

Раздел земельного участка К№86:19:0000000:6562, с сохранением исходного в изменённых границах

73

86:19:0000000: 6562:ЗУ73

Ведение садоводства

Российская Федерация, Ханты-Мансийский автономный округ – Югра, городской округ Мегион, город Мегион, территория ТСН «Черёмушки», переулок Дачный, земельный участок 2.

1079

Раздел земельного участка К№86:19:0000000:6562, с сохранением исходного в изменённых границах

75

86:19:0000000: 6562:ЗУ75

Ведение садоводства

Российская Федерация, Ханты-Мансийский автономный округ – Югра, городской округ Мегион, город Мегион, территория ТСН «Черёмушки», переулок Дачный, земельный участок 4.

909

Раздел земельного участка К№86:19:0000000:6562, с сохранением исходного в изменённых границах

77

86:19:0000000: 6562:ЗУ77

Ведение садоводства

Российская Федерация, Ханты-Мансийский автономный округ – Югра, городской округ Мегион, город Мегион, территория ТСН «Черёмушки», переулок Дачный, земельный участок 6.

707

Раздел земельного участка К№86:19:0000000:6562, с сохранением исходного в изменённых границах

80

86:19:0000000:ЗУ80

Ведение садоводства

Российская Федерация, Ханты-Мансийский автономный округ – Югра, городской округ Мегион, город Мегион, территория ТСН «Черёмушки», переулок Дачный, земельный участок 9.

852

Образование земельного участка из земель, государственная собственность на которые не разграничена

81

86:19:0000000: 6562:ЗУ81

Ведение садоводства

Российская Федерация, Ханты-Мансийский автономный округ – Югра, городской округ Мегион, город Мегион, территория ТСН «Черёмушки», переулок Механизаторов №2, земельный участок 1.

322

Раздел земельного участка К№86:19:0000000:6562, с сохранением исходного в изменённых границах

82

86:19:0000000: 6562:ЗУ82

Ведение садоводства

Российская Федерация, Ханты-Мансийский автономный округ – Югра, городской округ Мегион, город Мегион, территория ТСН «Черёмушки», переулок Механизаторов №2, земельный участок 3.

747

Раздел земельного участка К№86:19:0000000:6562, с сохранением исходного в изменённых границах

83

86:19:0000000: 6562:ЗУ83

Ведение садоводства

Российская Федерация, Ханты-Мансийский автономный округ – Югра, городской округ Мегион, город Мегион, территория ТСН «Черёмушки», переулок Механизаторов №2, земельный участок 5.

774

Раздел земельного участка К№86:19:0000000:6562, с сохранением исходного в изменённых границах

84

86:19:0000000: 6562:ЗУ84

Ведение садоводства

Российская Федерация, Ханты-Мансийский автономный округ – Югра, городской округ Мегион, город Мегион, территория ТСН «Черёмушки», переулок Механизаторов №2, земельный участок 7.

1294

Раздел земельного участка К№86:19:0000000:6562, с сохранением исходного в изменённых границах

85

86:19:0000000: 6562:ЗУ85

Ведение садоводства

Российская Федерация, Ханты-Мансийский автономный округ – Югра, городской округ Мегион, город Мегион, территория ТСН «Черёмушки», переулок Механизаторов №2, земельный участок 9.

535

Раздел земельного участка К№86:19:0000000:6562, с сохранением исходного в изменённых границах

86

86:19:0000000: 6562:ЗУ86

Ведение садоводства

Российская Федерация, Ханты-Мансийский автономный округ – Югра, городской округ Мегион, город Мегион, территория ТСН «Черёмушки», переулок Механизаторов №2, земельный участок 10.

1063

Раздел земельного участка К№86:19:0000000:6562, с сохранением исходного в изменённых границах

87

86:19:0000000: 6562:ЗУ87

Ведение садоводства

Российская Федерация, Ханты-Мансийский автономный округ – Югра, городской округ Мегион, город Мегион, территория ТСН «Черёмушки», переулок Механизаторов №2, земельный участок 8.

808

Раздел земельного участка К№86:19:0000000:6562, с сохранением исходного в изменённых границах

88

86:19:0000000: 6562:ЗУ88

Ведение садоводства

Российская Федерация, Ханты-Мансийский автономный округ – Югра, городской округ Мегион, город Мегион, территория ТСН «Черёмушки», переулок Механизаторов №2, земельный участок 6.

400

Раздел земельного участка К№86:19:0000000:6562, с сохранением исходного в изменённых границах

89

86:19:0000000: 6562:ЗУ88

Ведение садоводства

Российская Федерация, Ханты-Мансийский автономный округ – Югра, городской округ Мегион, город Мегион, территория ТСН «Черёмушки», переулок Механизаторов №1, земельный участок 7.

728

Раздел земельного участка К№86:19:0000000:6562, с сохранением исходного в изменённых границах

90

86:19:0000000: 6562:ЗУ90

Ведение садоводства

Российская Федерация, Ханты-Мансийский автономный округ – Югра, городской округ Мегион, город Мегион, территория ТСН «Черёмушки», переулок Механизаторов №2, земельный участок 4.

882

Раздел земельного участка К№86:19:0000000:6562, с сохранением исходного в изменённых границах

91

86:19:0000000: 6562:ЗУ91

Ведение садоводства

Российская Федерация, Ханты-Мансийский автономный округ – Югра, городской округ Мегион, город Мегион, территория ТСН «Черёмушки», переулок Механизаторов №2, земельный участок 2.

521

Раздел земельного участка К№86:19:0000000:6562, с сохранением исходного в изменённых границах

92

86:19:0000000: 6562:ЗУ92

Ведение садоводства

Российская Федерация, Ханты-Мансийский автономный округ – Югра, городской округ Мегион, город Мегион, территория ТСН «Черёмушки», переулок Механизаторов №1, земельный участок 1.

485

Раздел земельного участка К№86:19:0000000:6562, с сохранением исходного в изменённых границах

93

86:19:0000000: 6562:ЗУ93

Ведение садоводства

Российская Федерация, Ханты-Мансийский автономный округ – Югра, городской округ Мегион, город Мегион, территория ТСН «Черёмушки», переулок Механизаторов №1, земельный участок 3.

426

Раздел земельного участка К№86:19:0000000:6562, с сохранением исходного в изменённых границах

94

86:19:0000000: 6562:ЗУ94

Ведение садоводства

Российская Федерация, Ханты-Мансийский автономный округ – Югра, городской округ Мегион, город Мегион, территория ТСН «Черёмушки», переулок Механизаторов №1, земельный участок 5.

431

Раздел земельного участка К№86:19:0000000:6562, с сохранением исходного в изменённых границах

97

86:19:0000000: 6562:ЗУ97

Ведение садоводства

Российская Федерация, Ханты-Мансийский автономный округ – Югра, городской округ Мегион, город Мегион, территория ТСН «Черёмушки», переулок Механизаторов №1, земельный участок 13.

486

Раздел земельного участка К№86:19:0000000:6562, с сохранением исходного в изменённых границах

99

86:19:0000000: 6562:ЗУ99

Ведение садоводства

Российская Федерация, Ханты-Мансийский автономный округ – Югра, городской округ Мегион, город Мегион, территория ТСН «Черёмушки», переулок Механизаторов №1, земельный участок 17.

668

Раздел земельного участка К№86:19:0000000:6562, с сохранением исходного в изменённых границах

103

86:19:0000000: 6562:ЗУ103

Ведение садоводства

Российская Федерация, Ханты-Мансийский автономный округ – Югра, городской округ Мегион, город Мегион, территория ТСН «Черёмушки», переулок Механизаторов №1, земельный участок 16.

298

Раздел земельного участка К№86:19:0000000:6562, с сохранением исходного в изменённых границах

104

86:19:0000000: 6562:ЗУ104

Ведение садоводства

Российская Федерация, Ханты-Мансийский автономный округ – Югра, городской округ Мегион, город Мегион, территория ТСН «Черёмушки», переулок Механизаторов №1, земельный участок 14.

627

Раздел земельного участка К№86:19:0000000:6562, с сохранением исходного в изменённых границах

107

86:19:0000000: 6562:ЗУ107

Ведение садоводства

Российская Федерация, Ханты-Мансийский автономный округ – Югра, городской округ Мегион, город Мегион, территория ТСН «Черёмушки», переулок Механизаторов №1, земельный участок 8.

661

Раздел земельного участка К№86:19:0000000:6562, с сохранением исходного в изменённых границах

109

86:19:0000000: 6562:ЗУ109

Ведение садоводства

Российская Федерация, Ханты-Мансийский автономный округ – Югра, городской округ Мегион, город Мегион, территория ТСН «Черёмушки», переулок Механизаторов №1, земельный участок 4.

358

Раздел земельного участка К№86:19:0000000:6562, с сохранением исходного в изменённых границах

113

86:19:0000000: 6562:ЗУ113

Ведение садоводства

Российская Федерация, Ханты-Мансийский автономный округ – Югра, городской округ Мегион, город Мегион, территория ТСН «Черёмушки», улица Речная, земельный участок 25.

360

Раздел земельного участка К№86:19:0000000:6562, с сохранением исходного в изменённых границах

114

86:19:0000000: 6562:ЗУ114

Ведение садоводства

Российская Федерация, Ханты-Мансийский автономный округ – Югра, городской округ Мегион, город Мегион, территория ТСН «Черёмушки», улица Речная, земельный участок 27.

494

Раздел земельного участка К№86:19:0000000:6562, с сохранением исходного в изменённых границах

115

86:19:0000000: 6562:ЗУ115

Ведение садоводства

Российская Федерация, Ханты-Мансийский автономный округ – Югра, городской округ Мегион, город Мегион, территория ТСН «Черёмушки», улица Речная, земельный участок 29.

602

Раздел земельного участка К№86:19:0000000:6562, с сохранением исходного в изменённых границах

116

86:19:0000000: 6562:ЗУ116

Ведение садоводства

Российская Федерация, Ханты-Мансийский автономный округ – Югра, городской округ Мегион, город Мегион, территория ТСН «Черёмушки», улица Речная, земельный участок 31.

604

Раздел земельного участка К№86:19:0000000:6562, с сохранением исходного в изменённых границах

117

86:19:0000000: 6562:ЗУ117

Ведение садоводства

Российская Федерация, Ханты-Мансийский автономный округ – Югра, городской округ Мегион, город Мегион, территория ТСН «Черёмушки», улица Речная, земельный участок №33.

598

Раздел земельного участка К№86:19:0000000:6562, с сохранением исходного в изменённых границах

118

86:19:0000000: 6562:ЗУ118

Ведение садоводства

Российская Федерация, Ханты-Мансийский автономный округ – Югра, городской округ Мегион, город Мегион, территория ТСН «Черёмушки», улица Речная, земельный участок 35.

717

Раздел земельного участка К№86:19:0000000:6562, с сохранением исходного в изменённых границах

119

86:19:0000000: 6562:ЗУ119

Ведение садоводства

Российская Федерация, Ханты-Мансийский автономный округ – Югра, городской округ Мегион, город Мегион, территория ТСН «Черёмушки», улица Речная, земельный участок 37.

976

Раздел земельного участка К№86:19:0000000:6562, с сохранением исходного в изменённых границах

120

86:19:0000000: 6562:ЗУ120

Ведение садоводства

Российская Федерация, Ханты-Мансийский автономный округ – Югра, городской округ Мегион, город Мегион, территория ТСН «Черёмушки», улица Речная, земельный участок 39.

495

Раздел земельного участка К№86:19:0000000:6562, с сохранением исходного в изменённых границах

122

86:19:0000000: 6562:ЗУ122

Ведение садоводства

Российская Федерация, Ханты-Мансийский автономный округ – Югра, городской округ Мегион, город Мегион, территория ТСН «Черёмушки», улица Речная, земельный участок 43.

695

Раздел земельного участка К№86:19:0000000:6562, с сохранением исходного в изменённых границах

123

86:19:0000000: 6562:ЗУ123

Ведение садоводства

Российская Федерация, Ханты-Мансийский автономный округ – Югра, городской округ Мегион, город Мегион, территория ТСН «Черёмушки», улица Рябиновая, земельный участок 1.

521

Раздел земельного участка К№86:19:0000000:6562, с сохранением исходного в изменённых границах

124

86:19:0000000: 6562:ЗУ124

Ведение садоводства

Российская Федерация, Ханты-Мансийский автономный округ – Югра, городской округ Мегион, город Мегион, территория ТСН «Черёмушки», улица Рябиновая, земельный участок №3.

358

Раздел земельного участка К№86:19:0000000:6562, с сохранением исходного в изменённых границах

125

86:19:0000000: 6562:ЗУ125

Ведение садоводства

Российская Федерация, Ханты-Мансийский автономный округ – Югра, городской округ Мегион, город Мегион, территория ТСН «Черёмушки», улица Рябиновая, земельный участок 5.

647

Раздел земельного участка К№86:19:0000000:6562, с сохранением исходного в изменённых границах

127

86:19:0000000: 6562:ЗУ127

Ведение садоводства

Российская Федерация, Ханты-Мансийский автономный округ – Югра, городской округ Мегион, город Мегион, территория ТСН «Черёмушки», улица Рябиновая, земельный участок 9.

402

Раздел земельного участка К№86:19:0000000:6562, с сохранением исходного в изменённых границах

129

86:19:0000000: 6562:ЗУ129

Ведение садоводства

Российская Федерация, Ханты-Мансийский автономный округ – Югра, городской округ Мегион, город Мегион, территория ТСН «Черёмушки», улица Рябиновая, земельный участок 13.

574

Раздел земельного участка К№86:19:0000000:6562, с сохранением исходного в изменённых границах

130

86:19:0000000: 6562:ЗУ130

Ведение садоводства

Российская Федерация, Ханты-Мансийский автономный округ – Югра, городской округ Мегион, город Мегион, территория ТСН «Черёмушки», улица Рябиновая, земельный участок 15.

658

Раздел земельного участка К№86:19:0000000:6562, с сохранением исходного в изменённых границах

132

86:19:0000000: 6562:ЗУ132

Ведение садоводства

Российская Федерация, Ханты-Мансийский автономный округ – Югра, городской округ Мегион, город Мегион, территория ТСН «Черёмушки», улица Рябиновая, земельный участок 19.

791

Раздел земельного участка К№86:19:0000000:6562, с сохранением исходного в изменённых границах

134

86:19:0000000: 6562:ЗУ134

Ведение садоводства

Российская Федерация, Ханты-Мансийский автономный округ – Югра, городской округ Мегион, город Мегион, территория ТСН «Черёмушки», улица Рябиновая, земельный участок 23.

900

Раздел земельного участка К№86:19:0000000:6562, с сохранением исходного в изменённых границах

135

86:19:0000000: 6562:ЗУ135

Ведение садоводства

Российская Федерация, Ханты-Мансийский автономный округ – Югра, городской округ Мегион, город Мегион, территория ТСН «Черёмушки», улица Рябиновая, земельный участок 25.

896

Раздел земельного участка К№86:19:0000000:6562, с сохранением исходного в изменённых границах

137

86:19:0000000:ЗУ137

Ведение садоводства

Российская Федерация, Ханты-Мансийский автономный округ – Югра, городской округ Мегион, город Мегион, территория ТСН «Черёмушки», улица Рябиновая, земельный участок 2.

418

Образование земельного участка из земель, государственная собственность на которые не разграничена

138

86:19:0000000: 6562:ЗУ138

Ведение садоводства

Российская Федерация, Ханты-Мансийский автономный округ – Югра, городской округ Мегион, город Мегион, территория ТСН «Черёмушки», улица Рябиновая, земельный участок 4.

322

Раздел земельного участка К№86:19:0000000:6562, с сохранением исходного в изменённых границах

139

86:19:0000000: 6562:ЗУ139

Ведение садоводства

Российская Федерация, Ханты-Мансийский автономный округ – Югра, городской округ Мегион, город Мегион, территория ТСН «Черёмушки», улица Рябиновая, земельный участок 6.

425

Раздел земельного участка К№86:19:0000000:6562, с сохранением исходного в изменённых границах

140

86:19:0000000: 6562:ЗУ140

Ведение садоводства

Российская Федерация, Ханты-Мансийский автономный округ – Югра, городской округ Мегион, город Мегион, территория ТСН «Черёмушки», улица Рябиновая, земельный участок 8.

594

Раздел земельного участка К№86:19:0000000:6562, с сохранением исходного в изменённых границах

142

86:19:0000000: 6562:ЗУ142

Ведение садоводства

Российская Федерация, Ханты-Мансийский автономный округ – Югра, городской округ Мегион, город Мегион, территория ТСН «Черёмушки», улица Рябиновая, земельный участок 12.

328

Раздел земельного участка К№86:19:0000000:6562, с сохранением исходного в изменённых границах

143

86:19:0000000: 6562:ЗУ143

Ведение садоводства

Российская Федерация, Ханты-Мансийский автономный округ – Югра, городской округ Мегион, город Мегион, территория ТСН «Черёмушки», улица Рябиновая, земельный участок 14.

356

Раздел земельного участка К№86:19:0000000:6562, с сохранением исходного в измененных границах

145

86:19:0000000: 6562:ЗУ145

Ведение садоводства

Российская Федерация, Ханты-Мансийский автономный округ – Югра, городской округ Мегион, город Мегион, территория ТСН «Черёмушки», улица Рябиновая, земельный участок №18.

452

Раздел земельного участка К№86:19:0000000:6562, с сохранением исходного в изменённых границах

146

86:19:0000000: 6562:ЗУ146

Ведение садоводства

Российская Федерация, Ханты-Мансийский автономный округ – Югра, городской округ Мегион, город Мегион, территория ТСН «Черёмушки», улица Рябиновая, земельный участок 20.

581

Раздел земельного участка К№86:19:0000000:6562, с сохранением исходного в изменённых границах

148

86:19:0000000: 6562:ЗУ148

Ведение садоводства

Российская Федерация, Ханты-Мансийский автономный округ – Югра, городской округ Мегион, город Мегион, территория ТСН «Черёмушки», переулок Малиновый, земельный участок 19.

539

Раздел земельного участка К№86:19:0000000:6562, с сохранением исходного в изменённых границах

149

86:19:0000000: 6562:ЗУ149

Ведение садоводства

Российская Федерация, Ханты-Мансийский автономный округ – Югра, городской округ Мегион, город Мегион, территория ТСН «Черёмушки», переулок Малиновый, земельный участок 18.

581

Раздел земельного участка К№86:19:0000000:6562, с сохранением исходного в изменённых границах

150

86:19:0000000: 6562:ЗУ150

Ведение садоводства

Российская Федерация, Ханты-Мансийский автономный округ – Югра, городской округ Мегион, город Мегион, территория ТСН «Черёмушки», переулок Малиновый, земельный участок 17.

931

Раздел земельного участка К№86:19:0000000:6562, с сохранением исходного в изменённых границах

151

86:19:0000000: 6562:ЗУ151

Ведение садоводства

Российская Федерация, Ханты-Мансийский автономный округ – Югра, городской округ Мегион, город Мегион, территория ТСН «Черёмушки», переулок Малиновый, земельный участок 16.

528

Раздел земельного участка К№86:19:0000000:6562, с сохранением исходного в изменённых границах

154

86:19:0000000: 6562:ЗУ154

Ведение садоводства

Российская Федерация, Ханты-Мансийский автономный округ – Югра, городской округ Мегион, город Мегион, территория ТСН «Черёмушки», переулок Малиновый, земельный участок 13.

293

Раздел земельного участка К№86:19:0000000:6562, с сохранением исходного в изменённых границах

155

86:19:0000000: 6562:ЗУ155

Ведение садоводства

Российская Федерация, Ханты-Мансийский автономный округ – Югра, городской округ Мегион, город Мегион, территория ТСН «Черёмушки», переулок Малиновый, земельный участок 12.

404

Раздел земельного участка К№86:19:0000000:6562, с сохранением исходного в изменённых границах

156

86:19:0000000: 6562:ЗУ156

Ведение садоводства

Российская Федерация, Ханты-Мансийский автономный округ – Югра, городской округ Мегион, город Мегион, территория ТСН «Черёмушки», переулок Малиновый, земельный участок 11.

414

Раздел земельного участка К№86:19:0000000:6562, с сохранением исходного в изменённых границах

159

86:19:0000000: 6562:ЗУ159

Ведение садоводства

Российская Федерация, Ханты-Мансийский автономный округ – Югра, городской округ Мегион, город Мегион, территория ТСН «Черёмушки», переулок Малиновый, земельный участок 8.

298

Раздел земельного участка К№86:19:0000000:6562, с сохранением исходного в изменённых границах

160

86:19:0000000: 6562:ЗУ160

Ведение садоводства

Российская Федерация, Ханты-Мансийский автономный округ – Югра, городской округ Мегион, город Мегион, территория ТСН «Черёмушки», переулок Малиновый, земельный участок 7.

337

Раздел земельного участка К№86:19:0000000:6562, с сохранением исходного в изменённых границах

161

86:19:0000000: 6562:ЗУ161

Ведение садоводства

Российская Федерация, Ханты-Мансийский автономный округ – Югра, городской округ Мегион, город Мегион, территория ТСН «Черёмушки», переулок Малиновый, земельный участок 6.

702

Раздел земельного участка К№86:19:0000000:6562, с сохранением исходного в изменённых границах

163

86:19:0000000: 6562:ЗУ163

Ведение садоводства

Российская Федерация, Ханты-Мансийский автономный округ – Югра, городской округ Мегион, город Мегион, территория ТСН «Черёмушки», переулок Малиновый, земельный участок 4.

356

Раздел земельного участка К№86:19:0000000:6562, с сохранением исходного в изменённых границах

164

86:19:0000000: 6562:ЗУ164

Ведение садоводства

Российская Федерация, Ханты-Мансийский автономный округ – Югра, городской округ Мегион, город Мегион, территория ТСН «Черёмушки», переулок Малиновый, земельный участок 3.

674

Раздел земельного участка К№86:19:0000000:6562, с сохранением исходного в изменённых границах

167

86:19:0000000: 6562:ЗУ167

Ведение садоводства

Российская Федерация, Ханты-Мансийский автономный округ – Югра, городской округ Мегион, город Мегион, территория ТСН «Черёмушки», улица Речная, земельный участок 45.

507

Раздел земельного участка К№86:19:0000000:6562, с сохранением исходного в изменённых границах

169

86:19:0000000: 6562:ЗУ169

Ведение садоводства

Российская Федерация, Ханты-Мансийский автономный округ – Югра, городской округ Мегион, город Мегион, территория ТСН «Черёмушки», улица Центральная, земельный участок 49.

596

Раздел земельного участка К№86:19:0000000:6562, с сохранением исходного в изменённых границах

174

86:19:0000000: 6562:ЗУ174

Ведение садоводства

Российская Федерация, Ханты-Мансийский автономный округ – Югра, городской округ Мегион, город Мегион, территория ТСН «Черёмушки», улица Центральная, земельный участок 41.

1372

Раздел земельного участка К№86:19:0000000:6562, с сохранением исходного в изменённых границах

181

86:19:0000000: 6562:ЗУ181

Ведение садоводства

Российская Федерация, Ханты-Мансийский автономный округ – Югра, городской округ  Мегион, город Мегион, территория ТСН «Черёмушки», улица Центральная, земельный участок 27.

747

Раздел земельного участка К№86:19:0000000:6562, с сохранением исходного в изменённых границах

183

86:19:0000000: 6562:ЗУ183

Ведение садоводства

Российская Федерация, Ханты-Мансийский автономный округ – Югра, городской округ Мегион, город Мегион, территория ТСН «Черёмушки», улица Центральная, земельный участок 21.

1298

Раздел земельного участка К№86:19:0000000:6562, с сохранением исходного в изменённых границах

184

86:19:0000000: 6562:ЗУ184

Ведение садоводства

Российская Федерация, Ханты-Мансийский автономный округ – Югра, городской округ Мегион, город Мегион, территория ТСН «Черёмушки», улица Центральная, земельный участок 19.

868

Раздел земельного участка К№86:19:0000000:6562, с сохранением исходного в изменённых границах

192

:ЗУ192

Ведение садоводства

Российская Федерация, Ханты-Мансийский автономный округ – Югра, городской округ Мегион, город Мегион, территория ТСН «Черёмушки», улица Речная, земельный участок 60.

650

Перераспределение земельного участка К№86:04:0000001 :36090, с землями государственная собственность на которые на разграничена

193

86:04:0000001    :112544:ЗУ193

Ведение садоводства

Российская Федерация, Ханты-Мансийский автономный округ – Югра, городской округ Мегион, город Мегион, территория ТСН «Черёмушки», улица Речная, земельный участок 62.

854

Раздел земельного участка К№86:04:0000001 :112544, с сохранением исходного в изменённых границах

194

:ЗУ194

Ведение садоводства

Российская Федерация, Ханты-Мансийский автономный округ – Югра, городской округ Мегион, город Мегион, территория ТСН «Черёмушки», улица Центральная, земельный участок 76.

646

Перераспределение земельного участка К№86:04:0000001 :36082, с землями государственная собственность на которые на разграничена

195

:ЗУ195

Ведение садоводства

Российская Федерация, Ханты-Мансийский автономный округ – Югра, городской округ Мегион, город Мегион, ТСН «Черёмушки», улица Речная, земельный участок 47.

633

Перераспределение земельного участка К№86:04:0000001 :97167, с землями государственная собственность на которые на разграничена

196

:ЗУ196

Ведение садоводства

Российская Федерация, Ханты-Мансийский автономный округ – Югра, городской округ Мегион, город Мегион, территория ТСН «Черёмушки», улица Речная, земельный участок 49.

639

Перераспределение земельного участка К№86:04:0000001 :96934, с землями государственная собственность на которые на разграничена

197

:ЗУ197

Ведение садоводства

Российская Федерация, Ханты-Мансийский автономный округ – Югра, городской округ Мегион, город Мегион,

территория ТСН «Черёмушки», переулок Приозёрный, земельный участок 1а.

929

Перераспределение земельного участка К№86:04:0000001 :118265, с землями государственная собственность на которые на разграничена

201

86:04:0000001    :112544:ЗУ201

Ведение садоводства

Российская Федерация, Ханты-Мансийский автономный округ – Югра, городской округ Мегион, город Мегион, территория ТСН «Черёмушки», улица Центральная, земельный участок 58б.

900

Раздел земельного участка К№86:04:0000001 :112544, с сохранением исходного в изменённых границах

202

86:04:0000001    :112544:ЗУ202

Ведение садоводства

Российская Федерация, Ханты-Мансийский автономный округ – Югра, городской округ Мегион, город Мегион, территория ТСН «Черёмушки», улица Центральная, земельный участок №58а.

740

Раздел земельного участка К№86:04:0000001 :112544, с сохранением исходного в изменённых границах

203

86:04:0000001    :112544:ЗУ203

Ведение садоводства

Российская Федерация, Ханты-Мансийский автономный округ – Югра, городской округ Мегион, город Мегион, территория ТСН «Черёмушки», улица Центральная, земельный участок 56а.

990

Раздел земельного участка К№86:04:0000001 :112544, с сохранением исходного в изменённых границах

204

86:04:0000001    :112544:ЗУ204

Ведение садоводства

Российская Федерация, Ханты-Мансийский автономный округ – Югра, городской округ Мегион, город Мегион, территория ТСН «Черёмушки», улица Центральная, земельный участок 56б.

1000

Раздел земельного участка К№86:04:0000001 :112544, с сохранением исходного в изменённых границах

205

:ЗУ205

Ведение садоводства

Российская Федерация, Ханты-Мансийский автономный округ – Югра, городской округ Мегион, город Мегион, территория ТСН «Черёмушки», улица Центральная, земельный участок 74.

856

Перераспределение земельного участка К№86:04:0000001 :97171, с землями государственная собственность на которые на разграничена

213

86:04:0000001    :112544:ЗУ213

Ведение садоводства

Российская Федерация, Ханты-Мансийский автономный округ – Югра, городской округ Мегион, город Мегион, территория ТСН «Черёмушки», улица Центральная, земельный участок 58.

714

Раздел земельного участка К№86:04:0000001 :112544, с сохранением исходного в изменённых границах

214

86:04:0000001    :112544:ЗУ214

Ведение садоводства

Российская Федерация, Ханты-Мансийский автономный округ – Югра, городской округ Мегион, город Мегион, территория ТСН «Черёмушки», улица Центральная, земельный участок 56.

736

Раздел земельного участка К№86:04:0000001 :112544, с сохранением исходного в изменённых границах

216

86:04:0000001    :112544:ЗУ216

Ведение садоводства

Российская Федерация, Ханты-Мансийский автономный округ – Югра, городской округ Мегион, город Мегион, территория ТСН «Черёмушки», улица Центральная, земельный участок 52.

726

Раздел земельного участка К№86:04:0000001 :112544, с сохранением исходного в изменённых границах

217

86:04:0000001    :112544:ЗУ217

Ведение садоводства

Российская Федерация, Ханты-Мансийский автономный округ – Югра, городской округ Мегион, город Мегион, ТСН «Черёмушки», улица Центральная, земельный участок №50.

721

Раздел земельного участка К№86:04:0000001 :112544, с сохранением исходного в изменённых границах

219

86:04:0000001    :112544:ЗУ219

Ведение садоводства

Российская Федерация, Ханты-Мансийский автономный округ – Югра, городской округ Мегион, город Мегион, территория ТСН «Черёмушки», улица Центральная, земельный участок 46.

697

Раздел земельного участка К№86:04:0000001 :112544, с сохранением исходного в изменённых границах

223

86:04:0000001    :112544:ЗУ223

Ведение садоводства

Российская Федерация, Ханты-Мансийский автономный округ – Югра, городской округ Мегион, город Мегион, территория ТСН «Черёмушки», улица Центральная, земельный участок 38.

746

Раздел земельного участка К№86:04:0000001 :112544, с сохранением исходного в изменённых границах

225

86:04:0000001    :112544:ЗУ225

Ведение садоводства

Российская Федерация, Ханты-Мансийский автономный округ – Югра, городской округ Мегион, город Мегион, территория ТСН «Черёмушки», улица Центральная, земельный участок 34.

1167

Раздел земельного участка К№86:04:0000001 :112544, с сохранением исходного в изменённых границах

229

86:04:0000001    :112544:ЗУ229

Ведение садоводства

Российская Федерация, Ханты-Мансийский автономный округ – Югра, городской округ Мегион, город Мегион, территория ТСН «Черёмушки», переулок Строителей, земельный участок 4.

845

Раздел земельного участка К№86:04:0000001 :112544, с сохранением исходного в изменённых границах

230

86:04:0000001    :112544:ЗУ230

Ведение садоводства

Российская Федерация, Ханты-Мансийский автономный округ – Югра, городской округ Мегион, город Мегион, территория ТСН «Черёмушки», переулок Строителей, земельный участок 6.

1500

Раздел земельного участка К№86:04:0000001 :112544, с сохранением исходного в изменённых границах

231

:ЗУ231

Ведение садоводства

Российская Федерация, Ханты-Мансийский автономный округ – Югра, городской округ Мегион, город Мегион, территория ТСН «Черёмушки», переулок Строителей, земельный участок 8.

725

Образование земельного участка из земель, государственная собственность на которые не разграничена

232

:ЗУ232

Ведение садоводства

Российская Федерация, Ханты-Мансийский автономный округ – Югра, городской округ Мегион, город Мегион, территория ТСН «Черёмушки», переулок Строителей, земельный участок 10.

645

Образование земельного участка из земель, государственная собственность на которые не разграничена

233

86:04:0000001    :112544:ЗУ233

Ведение садоводства

Российская Федерация, Ханты-Мансийский автономный округ – Югра, городской округ Мегион, город Мегион, территория ТСН «Черёмушки», переулок Строителей, земельный участок 19.

460

Раздел земельного участка К№86:04:0000001 :112544, с сохранением исходного в изменённых границах

234

86:04:0000001    :112544:ЗУ234

Ведение садоводства

Российская Федерация, Ханты-Мансийский автономный округ – Югра, городской округ Мегион, город Мегион, территория ТСН «Черёмушки», переулок Строителей, земельный участок 17.

400

Раздел земельного участка К№86:04:0000001 :112544, с сохранением исходного в изменённых границах

237

86:04:0000001    :112544:ЗУ237

Ведение садоводства

Российская Федерация, Ханты-Мансийский автономный округ – Югра, городской округ Мегион, город Мегион, территория ТСН «Черёмушки», переулок Строителей, земельный участок 11.

503

Раздел земельного участка К№86:04:0000001 :112544, с сохранением исходного в изменённых границах

238

86:04:0000001    :112544:ЗУ238

Ведение садоводства

Российская Федерация, Ханты-Мансийский автономный округ – Югра, городской округ Мегион, город Мегион, территория ТСН «Черёмушки», переулок Строителей, земельный участок 9.

1300

Раздел земельного участка К№86:04:0000001 :112544, с сохранением исходного в изменённых границах

241

86:04:0000001    :112544:ЗУ241

Ведение садоводства

Российская Федерация, Ханты-Мансийский автономный округ – Югра, городской округ Мегион, город Мегион, ТСН «Черёмушки», улица Центральная, земельный участок №24.

735

Раздел земельного участка К№86:04:0000001 :112544, с сохранением исходного в изменённых границах

242

86:04:0000001    :112544:ЗУ242

Ведение садоводства

Российская Федерация, Ханты-Мансийский автономный округ – Югра, городской округ Мегион, город Мегион, территория ТСН «Черёмушки», улица Центральная, земельный участок 22.

438

Раздел земельного участка К№86:04:0000001 :112544, с сохранением исходного в изменённых границах

243

86:04:0000001    :112544:ЗУ243

Ведение садоводства

Российская Федерация, Ханты-Мансийский автономный округ – Югра, городской округ Мегион, город Мегион, территория ТСН «Черёмушки», улица Центральная, земельный участок 20.

400

Раздел земельного участка К№86:04:0000001 :112544, с сохранением исходного в изменённых границах

244

86:04:0000001    :112544:ЗУ244

Ведение садоводства

Российская Федерация, Ханты-Мансийский автономный округ – Югра, городской округ Мегион, город Мегион, территория ТСН «Черёмушки», переулок Строителей, земельный участок 7.

611

Раздел земельного участка К№86:04:0000001 :112544, с сохранением исходного в изменённых границах

246

86:04:0000001    :112544:ЗУ246

Ведение садоводства

Российская Федерация, Ханты-Мансийский автономный округ – Югра, городской округ Мегион, город Мегион, территория ТСН «Черёмушки», переулок Строителей, земельный участок 3.

489

Раздел земельного участка К№86:04:0000001 :112544, с сохранением исходного в изменённых границах

247

86:04:0000001    :112544:ЗУ247

Ведение садоводства

Российская Федерация, Ханты-Мансийский автономный округ – Югра, городской округ Мегион, город Мегион, территория ТСН «Черёмушки», переулок Строителей, земельный участок 1.

795

Раздел земельного участка К№86:04:0000001 :112544, с сохранением исходного в изменённых границах

249

86:04:0000001    :112544:ЗУ249

Ведение садоводства

Российская Федерация, Ханты-Мансийский автономный округ – Югра, городской округ Мегион, город Мегион, территория ТСН «Черёмушки», улица Центральная, земельный участок 16.

875

Раздел земельного участка К№86:04:0000001 :112544, с сохранением исходного в изменённых границах

250

86:04:0000001    :112544:ЗУ250

Ведение садоводства

Российская Федерация, Ханты-Мансийский автономный округ – Югра, городской округ Мегион, город Мегион, территория ТСН «Черёмушки», улица Центральная, земельный участок 14.

812

Раздел земельного участка К№86:04:0000001 :112544, с сохранением исходного в изменённых границах

251

86:04:0000001    :112544:ЗУ251

Ведение садоводства

Российская Федерация, Ханты-Мансийский автономный округ – Югра, городской округ Мегион, город Мегион, территория ТСН «Черёмушки», улица Центральная, земельный участок 12.

933

Раздел земельного участка К№86:04:0000001 :112544, с сохранением исходного в изменённых границах

252

86:04:0000001    :112544:ЗУ252

Ведение садоводства

Российская Федерация, Ханты-Мансийский автономный округ – Югра, городской округ Мегион, город Мегион, территория ТСН «Черёмушки», улица Центральная, земельный участок 10.

1004

Раздел земельного участка К№86:04:0000001 :112544, с сохранением исходного в изменённых границах

253

86:04:0000001    :112544:ЗУ253

Ведение садоводства

Российская Федерация, Ханты-Мансийский автономный округ – Югра, городской округ Мегион, город Мегион, территория ТСН «Черёмушки», переулок Озёрный, земельный участок 2.

809

Раздел земельного участка К№86:04:0000001 :112544, с сохранением исходного в изменённых границах

254

86:04:0000001    :112544:ЗУ254

Ведение садоводства

Российская Федерация, Ханты-Мансийский автономный округ – Югра, городской округ Мегион, город Мегион, территория ТСН «Черёмушки», переулок Озёрный, земельный участок 4.

974

Раздел земельного участка К№86:04:0000001 :112544, с сохранением исходного в изменённых границах

255

86:04:0000001    :112544:ЗУ255

Ведение садоводства

Российская Федерация, Ханты-Мансийский автономный округ – Югра, городской округ Мегион, город Мегион, территория ТСН «Черёмушки», переулок Озёрный, земельный участок 6.

1270

Раздел земельного участка К№86:04:0000001 :112544, с сохранением исходного в изменённых границах

259

86:04:0000001    :112544:ЗУ259

Ведение садоводства

Российская Федерация, Ханты-Мансийский автономный округ – Югра, городской округ Мегион, город Мегион, территория ТСН «Черёмушки», переулок Озёрный, земельный участок 7.

1262

Раздел земельного участка К№86:04:0000001 :112544, с сохранением исходного в изменённых границах

260

86:04:0000001    :112544:ЗУ260

Ведение садоводства

Российская Федерация, Ханты-Мансийский автономный округ – Югра, городской округ Мегион, город Мегион, территория ТСН «Черёмушки», переулок Озёрный, земельный участок 5.

679

Раздел земельного участка К№86:04:0000001 :112544, с сохранением исходного в изменённых границах

261

86:04:0000001    :112544:ЗУ261

Ведение садоводства

Российская Федерация, Ханты-Мансийский автономный округ – Югра, городской округ Мегион, город Мегион, территория ТСН «Черёмушки», переулок Озёрный, земельный участок 3.

714

Раздел земельного участка К№86:04:0000001 :112544, с сохранением исходного в измененных границах

262

86:04:0000001    :112544:ЗУ262

Ведение садоводства

Российская Федерация, Ханты-Мансийский автономный округ – Югра, городской округ Мегион, город Мегион, территория ТСН «Черёмушки», переулок Озёрный, земельный участок 1.

980

Раздел земельного участка К№86:04:0000001 :112544, с сохранением исходного в измененных границах

263

:ЗУ263

Ведение садоводства

Российская Федерация, Ханты-Мансийский автономный округ – Югра, городской округ Мегион, город Мегион, территория ТСН «Черёмушки», переулок Зелёный, земельный участок 1а.

463

Образование земельного участка из земель, государственная собственность на которые не разграничена

264

86:04:0000001    :112544:ЗУ264

Ведение садоводства

Российская Федерация, Ханты-Мансийский автономный округ – Югра, городской округ Мегион, город Мегион, территория ТСН «Черёмушки», переулок Зелёный, земельный участок №1.

406

Раздел земельного участка К№86:04:0000001 :112544, с сохранением исходного в изменённых границах

265

86:04:0000001    :112544:ЗУ265

Ведение садоводства

Российская Федерация, Российская Федерация, Ханты-Мансийский автономный округ – Югра, городской округ Мегион, город Мегион, территория ТСН «Черёмушки», улица Центральная, земельный участок 8.

473

Раздел земельного участка К№86:04:0000001 :112544, с сохранением исходного в изменённых границах

266

86:04:0000001    :112544:ЗУ266

Ведение садоводства

Российская Федерация, Российская Федерация, Ханты-Мансийский автономный округ – Югра, городской округ Мегион, город Мегион, территория ТСН «Черёмушки», улица Центральная, земельный участок 6.

728

Раздел земельного участка К№86:04:0000001 :112544, с сохранением исходного в изменённых границах

268

86:04:0000001    :112544:ЗУ268

Ведение садоводства

Российская Федерация, Ханты-Мансийский автономный округ – Югра, городской округ Мегион, город Мегион, территория ТСН «Черёмушки», переулок Озёрный, земельный участок 5.

786

Раздел земельного участка К№86:04:0000001 :112544, с сохранением исходного в изменённых границах

269

86:04:0000001    :112544:ЗУ269

Ведение садоводства

Российская Федерация, Ханты-Мансийский автономный округ – Югра, городской округ Мегион, город Мегион, территория ТСН «Черёмушки», улица Центральная, земельный участок 4.

652

Раздел земельного участка К№86:04:0000001 :112544, с сохранением исходного в изменённых границах

270

86:04:0000001    :112544:ЗУ270

Ведение садоводства

Российская Федерация, Ханты-Мансийский автономный округ – Югра, городской округ Мегион, город Мегион, территория ТСН «Черёмушки», улица Центральная, земельный участок 2.

1337

Раздел земельного участка К№86:04:0000001 :112544, с сохранением исходного в изменённых границах

271

86:04:0000001    :112544:ЗУ271

Ведение садоводства

Российская Федерация, Ханты-Мансийский автономный округ – Югра, городской округ Мегион, город Мегион, территория ТСН «Черёмушки», переулок Озёрный, земельный участок 7.

1148

Раздел земельного участка К№86:04:0000001 :112544, с сохранением исходного в изменённых границах

272

86:04:0000001    :112544:ЗУ272

Ведение садоводства

Российская Федерация, Ханты-Мансийский автономный округ – Югра, городской округ Мегион, город Мегион, территория ТСН «Черёмушки», переулок Озёрный, земельный участок 9.

1218

Раздел земельного участка К№86:04:0000001 :112544, с сохранением исходного в изменённых границах

273

86:04:0000001    :112544:ЗУ273

Ведение садоводства

Российская Федерация, Ханты-Мансийский автономный округ – Югра, городской округ Мегион, город Мегион, территория ТСН «Черёмушки», переулок Озёрный, земельный участок 11.

806

Раздел земельного участка К№86:04:0000001 :112544, с сохранением исходного в изменённых границах

274

86:04:0000001    :112544:ЗУ274

Ведение садоводства

Российская Федерация, Ханты-Мансийский автономный округ – Югра, городской округ Мегион, город Мегион, территория ТСН «Черёмушки», переулок Озёрный, земельный участок 13.

1029

Раздел земельного участка К№86:04:0000001 :112544, с сохранением исходного в изменённых границах

275

86:04:0000001    :112544:ЗУ275

Ведение садоводства

Российская Федерация, Ханты-Мансийский автономный округ – Югра, городской округ Мегион, город Мегион, ТСН «Черёмушки», переулок Озёрный, земельный участок 10.

647

Раздел земельного участка К№86:04:0000001 :112544, с сохранением исходного в изменённых границах

276

86:04:0000001    :112544:ЗУ276

Ведение садоводства

Российская Федерация, Ханты-Мансийский автономный округ – Югра, городской округ  Мегион, город Мегион, территория ТСН «Черёмушки», переулок Озёрный, земельный участок 12.

785

Раздел земельного участка К№86:04:0000001 :112544, с сохранением исходного в изменённых границах

277

86:04:0000001    :112544:ЗУ277

Ведение садоводства

Российская Федерация, Ханты-Мансийский автономный округ – Югра, городской округ Мегион, город Мегион, территория ТСН «Черёмушки», переулок Озёрный, земельный участок 15.

874

Раздел земельного участка К№86:04:0000001 :112544, с сохранением исходного в изменённых границах

279

86:04:0000001    :112544:ЗУ279

Ведение садоводства

Российская Федерация, Ханты-Мансийский автономный округ – Югра, городской округ Мегион, город Мегион, территория ТСН «Черёмушки», переулок Озёрный, земельный участок 16.

610

Раздел земельного участка К№86:04:0000001 :112544, с сохранением исходного в изменённых границах

280

86:04:0000001    :112544:ЗУ280

Ведение садоводства

Российская Федерация, Ханты-Мансийский автономный округ – Югра, городской округ Мегион, город Мегион, территория ТСН «Черёмушки», переулок Озёрный, земельный участок 8.

426

Раздел земельного участка К№86:04:0000001 :112544, с сохранением исходного в изменённых границах

282

:ЗУ282

Ведение садоводства

Российская Федерация, Ханты-Мансийский автономный округ – Югра, городской округ Мегион, город Мегион, территория ТСН «Черёмушки», переулок Озёрный, земельный участок 4.

1095

Перераспределение земельного участка К№86:04:0000001 :37225, с землями государственная собственность на которые на разграничена

283

86:04:0000001    :112544:ЗУ283

Ведение садоводства

Российская Федерация, Ханты-Мансийский автономный округ – Югра, городской округ Мегион, город Мегион, территория ТСН «Черёмушки», переулок Озёрный, земельный участок 2.

498

Раздел земельного участка К№86:04:0000001 :112544, с сохранением исходного в изменённых границах

Сохраняемые земельные участки

3

86:19:0030502:148

Ведение садоводства

Российская Федерация, Ханты-Мансийский автономный округ – Югра, городской округ Мегион, город Мегион, территория ТСН «Черёмушки», улица Центральная, земельный участок 83.

939

-

5

86:19:0030502:64

Ведение садоводства

Российская Федерация, Ханты-Мансийский автономный округ – Югра, городской округ Мегион, город Мегион, территория ТСН «Черёмушки», улица Центральная, земельный участок 75.

1020

-

6

86:19:0030502:108

Ведение садоводства

Российская Федерация, Ханты-Мансийский автономный округ – Югра, городской округ Мегион, город Мегион, территория ТСН «Черёмушки», улица Центральная, земельный участок 73.

1248

-

12

86:19:0030502:149

Ведение садоводства

Российская Федерация, Ханты-Мансийский автономный округ – Югра, городской округ Мегион, город Мегион, территория ТСН «Черёмушки», улица Центральная, земельный участок 61.

950

-

15

86:19:0030502:4

Ведение садоводства

Российская Федерация, Ханты-Мансийский автономный округ – Югра, городской округ Мегион, город Мегион, территория ТСН «Черёмушки», улица Центральная, земельный участок 55.

1633

-

16

86:19:0030502:111

Ведение садоводства

Российская Федерация, Ханты-Мансийский автономный округ – Югра, городской округ Мегион, город Мегион, территория ТСН «Черёмушки», улица Центральная, земельный участок 53.

981

-

19

86:19:0030502:93

Ведение садоводства

Российская Федерация, Ханты-Мансийский автономный округ – Югра, городской округ Мегион, город Мегион, территория ТСН «Черёмушки», улица Речная, земельный участок 52.

1052

-

20

86:19:0030502:97

Ведение садоводства

Российская Федерация, Ханты-Мансийский автономный округ – Югра, городской округ Мегион, город Мегион, территория ТСН «Черёмушки», улица Речная, земельный участок 50.

500

-

22

86:19:0030502:145

Ведение садоводства

Российская Федерация, Ханты-Мансийский автономный округ – Югра, городской округ Мегион, город Мегион, территория ТСН «Черёмушки», улица Речная, земельный участок 46.

557

-

23

86:19:0030502:122

Ведение садоводства

Российская Федерация, Ханты-Мансийский автономный округ – Югра, городской округ Мегион, город Мегион, территория ТСН «Черёмушки», улица Речная, земельный участок 44.

655

-

24

86:19:0030502:55

Ведение садоводства

Российская Федерация, Ханты-Мансийский автономный округ – Югра, городской округ Мегион, город Мегион, территория ТСН «Черёмушки», улица Речная, земельный участок 42.

529

-

30

86:19:0030502:79

Ведение садоводства

Российская Федерация, Ханты-Мансийский автономный округ – Югра, городской округ  Мегион, город Мегион, территория ТСН «Черёмушки», улица Речная, земельный участок 30.

1116

-

33

86:19:0030502:54

Ведение садоводства

Российская Федерация, Ханты-Мансийский автономный округ – Югра, городской округ Мегион, город Мегион, территория ТСН «Черёмушки», улица Речная, земельный участок 24.

893

-

34

86:19:0030502:49

Ведение садоводства

Российская Федерация, Ханты-Мансийский автономный округ – Югра, городской округ Мегион, город Мегион, территория ТСН «Черёмушки», улица Речная, земельный участок 22.

828

-

35

86:19:0030502:92

Ведение садоводства

Российская Федерация, Ханты-Мансийский автономный округ – Югра, городской округ Мегион, город Мегион, территория ТСН «Черёмушки», улица Речная, земельный участок 20.

741

-

36

86:19:0030502:184

Ведение садоводства

Российская Федерация, Ханты-Мансийский автономный округ – Югра, городской округ Мегион, город Мегион, территория ТСН «Черёмушки», переулок Таёжный, земельный участок 13.

689

-

37

86:19:0030502:52

Ведение садоводства

Российская Федерация, Ханты-Мансийский автономный округ – Югра, городской округ Мегион, город Мегион, территория ТСН «Черёмушки», переулок Таёжный, земельный участок 11.

632

-

38

86:19:0030502:73

Ведение садоводства

Российская Федерация, Ханты-Мансийский автономный округ – Югра, городской округ Мегион, город Мегион, территория ТСН «Черёмушки», переулок Таёжный, земельный участок 9.

651

-

42

86:19:0030502:78

Ведение садоводства

Российская Федерация, Ханты-Мансийский автономный округ – Югра, городской округ Мегион, город Мегион, территория ТСН «Черёмушки», переулок Таёжный, земельный участок 1.

741

-

44

86:19:0030502:101

Ведение садоводства

Российская Федерация, Ханты-Мансийский автономный округ – Югра, городской округ Мегион, город Мегион, территория ТСН «Черёмушки», переулок Крайний, земельный участок 6.

1750

-

45

86:19:0030502:74

Ведение садоводства

Российская Федерация, Ханты-Мансийский автономный округ – Югра, городской округ Мегион, город Мегион, территория ТСН «Черёмушки», переулок Крайний, земельный участок 4.

2354

-

46

86:19:0030502:80

Ведение садоводства

Российская Федерация, Ханты-Мансийский автономный округ – Югра, городской округ Мегион, город Мегион, территория ТСН «Черёмушки», переулок Крайний, земельный участок 2.

2007

-

47

86:19:0030502:143

Ведение садоводства

Российская Федерация, Ханты-Мансийский автономный округ – Югра, городской округ Мегион, город Мегион, территория ТСН «Черёмушки», переулок Крайний, земельный участок 1.

893

-

50

86:19:0030502:105

Ведение садоводства

Российская Федерация, Ханты-Мансийский автономный округ – Югра, городской округ Мегион, город Мегион, территория ТСН «Черёмушки», переулок Крайний, земельный участок 7.

900

-

51

86:19:0030502:98

Ведение садоводства

Российская Федерация, Ханты-Мансийский автономный округ – Югра, городской округ Мегион, город Мегион, территория ТСН «Черёмушки», переулок Крайний, земельный участок 9.

1356

-

52

86:19:0030502:144

Ведение садоводства

Российская Федерация, Ханты-Мансийский автономный округ – Югра, городской округ Мегион, город Мегион, ТСН «Черёмушки», переулок Крайний, земельный участок 11.

740

-

55

86:19:0030502:67

Ведение садоводства

Российская Федерация, Ханты-Мансийский автономный округ – Югра, городской округ Мегион, город Мегион, территория ТСН «Черёмушки», улица Речная, земельный участок 14.

769

-

57

86:19:0030502:81

Ведение садоводства

Российская Федерация, Ханты-Мансийский автономный округ – Югра, городской округ Мегион, город Мегион, территория ТСН «Черёмушки», улица Речная, земельный участок 10.

940

-

58

86:19:0030502:76

Ведение садоводства

Российская Федерация, Ханты-Мансийский автономный округ – Югра, городской округ Мегион, город Мегион, территория ТСН «Черёмушки», улица Речная, земельный участок 8.

721

-

59

86:19:0030502:132

Ведение садоводства

Российская Федерация, Ханты-Мансийский автономный округ – Югра, городской округ Мегион, город Мегион, территория ТСН «Черёмушки», улица Речная, земельный участок 6.

1483

-

61

86:19:0030502:77

Ведение садоводства

Российская Федерация, Ханты-Мансийский автономный округ – Югра, городской округ Мегион, город Мегион, территория ТСН «Черёмушки», улица Речная, земельный участок 2.

1483

-

62

86:19:0030502:69

Ведение садоводства

Российская Федерация, Ханты-Мансийский автономный округ – Югра, городской округ Мегион, город Мегион, территория ТСН «Черёмушки», улица Речная, земельный участок 1.

208

-

63

86:19:0030502:85

Ведение садоводства

Российская Федерация, Ханты-Мансийский автономный округ – Югра, городской округ Мегион, город Мегион, территория ТСН «Черёмушки», улица Речная, земельный участок 3.

478

-

64

86:19:0030502:66

Ведение садоводства

Российская Федерация, Ханты-Мансийский автономный округ – Югра, городской округ Мегион, город Мегион, территория ТСН «Черёмушки», улица Речная, земельный участок 5.

629

-

65

86:19:0030502:104

Ведение садоводства

Российская Федерация, Ханты-Мансийский автономный округ – Югра, городской округ Мегион, город Мегион, территория ТСН «Черёмушки», улица Речная, земельный участок 7.

818

-

66

86:19:0030502:72

Ведение садоводства

Российская Федерация, Ханты-Мансийский автономный округ – Югра, городской округ Мегион, город Мегион, территория ТСН «Черёмушки», улица Речная, земельный участок 9.

1299

-

67

86:19:0030502:59

Ведение садоводства

Российская Федерация, Ханты-Мансийский автономный округ – Югра, городской округ  Мегион, город Мегион, территория ТСН «Черёмушки», улица Речная, земельный участок 11.

1386

-

69

86:19:0030502:70

Ведение садоводства

Российская Федерация, Ханты-Мансийский автономный округ – Югра, городской округ Мегион, город Мегион, территория ТСН «Черёмушки», улица Речная, земельный участок 15.

1900

-

70

86:19:0030502:61

Ведение садоводства

Российская Федерация, Ханты-Мансийский автономный округ – Югра, городской округ Мегион, город Мегион, территория ТСН «Черёмушки», улица Речная, земельный участок 17.

1225

-

71

86:19:0030502:233

Ведение садоводства

Российская Федерация, Ханты-Мансийский автономный округ – Югра, городской округ Мегион, город Мегион, территория ТСН «Черёмушки», улица Речная, земельный участок 19.

928

-

72

86:19:0030502:138

Ведение садоводства

Российская Федерация, Ханты-Мансийский автономный округ – Югра, городской округ Мегион, город Мегион, территория ТСН «Черёмушки», переулок Дачный, земельный участок 1.

633

-

74

86:19:0030502:141

Ведение садоводства

Российская Федерация, Ханты-Мансийский автономный округ – Югра, городской округ Мегион, город Мегион, территория ТСН «Черёмушки», переулок Дачный, земельный участок 3.

943

-

76

86:19:0030502:65

Ведение садоводства

Российская Федерация, Ханты-Мансийский автономный округ – Югра, городской округ Мегион, город Мегион, территория ТСН «Черёмушки», переулок Дачный, земельный участок 5.

847

-

78

86:19:0030502:71

Ведение садоводства

Российская Федерация, Ханты-Мансийский автономный округ – Югра, городской округ Мегион, город Мегион, территория ТСН «Черёмушки», переулок Дачный, земельный участок 7.

965

-

79

86:19:0030502:133

Ведение садоводства

Российская Федерация, Ханты-Мансийский автономный округ – Югра, городской округ Мегион, город Мегион, территория ТСН «Черёмушки», переулок Дачный, земельный участок 8.

493

-

95

86:19:0030502:89

Ведение садоводства

Российская Федерация, Ханты-Мансийский автономный округ – Югра, городской округ Мегион, город Мегион, территория ТСН «Черёмушки», переулок Механизаторов №1, земельный участок 9.

393

-

96

86:19:0030502:152/1

Ведение садоводства

Российская Федерация, Ханты-Мансийский автономный округ – Югра, городской округ Мегион, город Мегион, территория ТСН «Черёмушки», переулок Механизаторов №1, земельный участок 11.

354

-

98

86:19:0030502:234

Ведение садоводства

Российская Федерация, Ханты-Мансийский автономный округ – Югра, городской округ Мегион, город Мегион, территория ТСН «Черёмушки», переулок Механизаторов №1, земельный участок 15.

650

-

100

86:19:0030502:96

Ведение садоводства

Российская Федерация, Ханты-Мансийский автономный округ – Югра, городской округ Мегион, город Мегион, территория ТСН «Черёмушки», переулок Механизаторов №1, земельный участок 19.

652

-

101

86:19:0030502:102

Ведение садоводства

Российская Федерация, Ханты-Мансийский автономный округ – Югра, городской округ Мегион, город Мегион, территория ТСН «Черёмушки», переулок Механизаторов №1, земельный участок 20.

790

-

102

86:19:0030502:50

Ведение садоводства

Российская Федерация, Ханты-Мансийский автономный округ – Югра, городской округ Мегион, город Мегион, территория ТСН «Черёмушки», переулок Механизаторов №1, земельный участок 18.

916

-

105

86:19:0030502:152/2

Ведение садоводства

Российская Федерация, Ханты-Мансийский автономный округ – Югра, городской округ Мегион, город Мегион, территория ТСН «Черёмушки», переулок Механизаторов №1, земельный участок 12.

395

-

106

86:19:0030502:94

Ведение садоводства

Российская Федерация, Ханты-Мансийский автономный округ – Югра, городской округ Мегион, город Мегион, территория ТСН «Черёмушки», переулок Механизаторов №1, земельный участок 10.

282

-

108

86:19:0030502:130

Ведение садоводства

Российская Федерация, Ханты-Мансийский автономный округ – Югра, городской округ Мегион, город Мегион, территория ТСН «Черёмушки», переулок Механизаторов №1, земельный участок 6.

329

-

110

86:19:0030502:88

Ведение садоводства

Российская Федерация, Ханты-Мансийский автономный округ – Югра, городской округ Мегион, город Мегион, территория ТСН «Черёмушки», переулок Механизаторов №1, земельный участок 2.

388

-

111

86:19:0030502:125

Ведение садоводства

Российская Федерация, Ханты-Мансийский автономный округ – Югра, городской округ Мегион, город Мегион, территория ТСН «Черёмушки», улица Речная, земельный участок 23.

624

-

112

86:19:0030502:128

Ведение садоводства

Российская Федерация, Ханты-Мансийский автономный округ – Югра, городской округ Мегион, город Мегион, территория ТСН «Черёмушки», улица Речная, земельный участок 21.

810

-

121

86:19:0030502:125

Ведение садоводства

Российская Федерация, Ханты-Мансийский автономный округ – Югра, городской округ Мегион, город Мегион, территория ТСН «Черёмушки», улица Речная, земельный участок 41.

669

-

126

86:19:0030502:103

Ведение садоводства

Российская Федерация, Ханты-Мансийский автономный округ – Югра, городской округ Мегион, город Мегион, территория ТСН «Черёмушки», улица Рябиновая, земельный участок 7.

693

-

128

86:19:0030502:107

Ведение садоводства

Российская Федерация, Ханты-Мансийский автономный округ – Югра, городской округ Мегион, город Мегион, территория ТСН «Черёмушки», улица Рябиновая, земельный участок 11.

784

-

131

86:19:0030502:239

Ведение садоводства

Российская Федерация, Ханты-Мансийский автономный округ – Югра, городской округ Мегион, город Мегион, территория ТСН «Черёмушки», улица Рябиновая, земельный участок 17.

660

-

133

86:19:0030502:127

Ведение садоводства

Российская Федерация, Ханты-Мансийский автономный округ – Югра, городской округ Мегион, город Мегион, территория ТСН «Черёмушки», улица Рябиновая, земельный участок 21.

727

-

136

86:19:0030502:75

Ведение садоводства

Российская Федерация, Ханты-Мансийский автономный округ – Югра, городской округ Мегион, город Мегион, территория ТСН «Черёмушки», улица Рябиновая, земельный участок 24.

1103

-

141

86:19:0030502:137

Ведение садоводства

Российская Федерация, Ханты-Мансийский автономный округ – Югра, городской округ Мегион, город Мегион, территория ТСН «Черёмушки», улица Рябиновая, земельный участок 10.

478

-

144

86:19:0030502:135

Ведение садоводства

Российская Федерация, Ханты-Мансийский автономный округ – Югра, городской округ Мегион, город Мегион, территория ТСН «Черёмушки», улица Рябиновая, земельный участок 16.

372

-

147

86:19:0030502:62

Ведение садоводства

Российская Федерация, Ханты-Мансийский автономный округ – Югра, городской округ Мегион, город Мегион, территория ТСН «Черёмушки», переулок Малиновый, земельный участок 20.

1167

-

152

86:19:0030502:139

Ведение садоводства

Российская Федерация, Ханты-Мансийский автономный округ – Югра, городской округ Мегион, город Мегион, территория ТСН «Черёмушки», переулок Малиновый, земельный участок 15.

567

-

153

86:19:0030502:121

Ведение садоводства

Российская Федерация, Ханты-Мансийский автономный округ – Югра, городской округ Мегион, город Мегион, территория ТСН «Черёмушки», переулок Малиновый, земельный участок 14.

398

-

157

86:19:0030502:58

Ведение садоводства

Российская Федерация, Ханты-Мансийский автономный округ – Югра, городской округ Мегион, город Мегион, территория ТСН «Черёмушки», переулок Малиновый, земельный участок 10.

406

-

158

86:19:0030502:51

Ведение садоводства

Российская Федерация, Ханты-Мансийский автономный округ – Югра, городской округ Мегион, город Мегион, территория ТСН «Чермушки», переулок Малиновый, земельный участок 9.

300

-

162

86:19:0030502:57

Ведение садоводства

Российская Федерация, Ханты-Мансийский автономный округ – Югра, городской округ Мегион, город Мегион, территория ТСН «Черёмушки», переулок Малиновый, земельный участок 5.

318

-

165

86:19:0030502:84

Ведение садоводства

Российская Федерация, Ханты-Мансийский автономный округ – Югра, городской округ Мегион, город Мегион, территория ТСН «Черёмушки», переулок Малиновый, земельный участок 2.

298

-

166

86:19:0030502:83

Ведение садоводства

Российская Федерация, Ханты-Мансийский автономный округ – Югра, городской округ Мегион, город Мегион, территория ТСН «Черёмушки», переулок Малиновый, земельный участок 1.

581

-

168

86:19:0030502:185

Ведение садоводства

Российская Федерация, Ханты-Мансийский автономный округ – Югра, городской округ Мегион, город Мегион, территория ТСН «Черёмушки», улица Центральная, земельный участок 51.

564

-

170

86:19:0030502:109

Ведение садоводства

Российская Федерация, Ханты-Мансийский автономный округ – Югра, городской округ Мегион, город Мегион, территория ТСН «Черёмушки», улица Центральная, земельный участок 47.

1700

-

171

86:19:0030502:235

Ведение садоводства

Российская Федерация, Ханты-Мансийский автономный округ – Югра, городской округ Мегион, город Мегион, территория ТСН «Черёмушки», улица Центральная, земельный участок 45.

473

-

172

86:19:0030502:182

Ведение садоводства

Российская Федерация, Ханты-Мансийский автономный округ – Югра, городской округ Мегион, город Мегион, территория ТСН «Черёмушки», улица Центральная, земельный участок 43.

664

-

173

86:19:0030502:82

Ведение садоводства

Российская Федерация, Ханты-Мансийский автономный округ – Югра, городской округ Мегион, город Мегион, территория ТСН «Черёмушки», улица Центральная, земельный участок 41а.

727

-

175

86:19:0030502:154

Ведение садоводства

Российская Федерация, Ханты-Мансийский автономный округ – Югра, городской округ Мегион, город Мегион, территория ТСН «Черёмушки», улица Центральная, земельный участок 39.

427

-

176

86:19:0030502:99

Ведение садоводства

Российская Федерация, Ханты-Мансийский автономный округ – Югра, городской округ Мегион, город Мегион, территория ТСН «Черёмушки», улица Центральная, земельный участок 37.

591

-

177

86:19:0030502:86

Ведение садоводства

Российская Федерация, Ханты-Мансийский автономный округ – Югра, городской округ Мегион, город Мегион, территория ТСН «Черёмушки», улица Центральная, земельный участок 35.

506

-

178

86:19:0030502:86

Ведение садоводства

Российская Федерация, Ханты-Мансийский автономный округ – Югра, городской округ Мегион, город Мегион, территория ТСН «Черёмушки», улица Центральная, земельный участок 33.

1412

-

179

86:19:0030502:134

Ведение садоводства

Российская Федерация, Ханты-Мансийский автономный округ – Югра, городской округ Мегион, город Мегион, территория ТСН «Черёмушки», улица Центральная, земельный участок 31.

705

-

180

86:19:0030502:153

Ведение садоводства

Российская Федерация, Ханты-Мансийский автономный округ – Югра, городской округ Мегион, город Мегион, территория ТСН «Черёмушки», улица Центральная, земельный участок 29.

618

-

182

86:19:0030502:124

Ведение садоводства

Российская Федерация, Ханты-Мансийский автономный округ – Югра, городской округ Мегион, город Мегион, территория ТСН «Черёмушки», улица Центральная, земельный участок 25.

1108

-

183

86:19:0030502:56

Ведение садоводства

Российская Федерация, Ханты-Мансийский автономный округ – Югра, городской округ Мегион, город Мегион, территория ТСН «Черёмушки», улица Центральная, земельный участок 23.

818

-

186

86:19:0030502:120

Ведение садоводства

Российская Федерация, Ханты-Мансийский автономный округ – Югра, городской округ Мегион, город Мегион, территория ТСН «Черёмушки», улица Центральная, земельный участок 17.

1234

-

187

86:04:0000001:36045

Ведение садоводства

Российская Федерация, Ханты-Мансийский автономный округ – Югра, городской округ Мегион, город Мегион, территория ТСН «Черёмушки», улица Центральная, земельный участок 80.

1041

-

188

86:04:0000001:36045

Ведение садоводства

Российская Федерация, Ханты-Мансийский автономный округ – Югра, городской округ Мегион, город Мегион, территория ТСН «Черёмушки», улица Центральная, земельный участок 80а.

858

-

189

86:04:0000001:36250

Ведение садоводства

Российская Федерация, Ханты-Мансийский автономный округ – Югра, городской округ Мегион, город Мегион, территория ТСН «Черёмушки», улица Центральная, земельный участок 80б.

1248

-

190

86:04:0000001:36046

Ведение садоводства

Российская Федерация, Ханты-Мансийский автономный округ – Югра, городской округ Мегион, город Мегион, территория ТСН «Черёмушки», улица Центральная, земельный участок 78.

848

-

191

86:04:0000001:106878

Ведение садоводства

Российская Федерация, Ханты-Мансийский автономный округ – Югра, городской округ Мегион, город Мегион, территория ТСН «Черёмушки», улица Речная, земельный участок 58.

690

-

198

86:04:0000001:106049

Ведение садоводства

Российская Федерация, Ханты-Мансийский автономный округ – Югра, городской округ Мегион, город Мегион, территория ТСН «Черёмушки», переулок Приозёрный, земельный участок 2.

511

-

199

86:04:0000001:37256

Ведение садоводства

Российская Федерация, Ханты-Мансийский автономный округ – Югра, городской округ Мегион, город Мегион, территория ТСН «Черёмушки», переулок Приозёрный, земельный участок 3.

657

-

200

86:04:0000001:36503

Ведение садоводства

Российская Федерация, Ханты-Мансийский автономный округ – Югра, городской округ Мегион, город Мегион, территория ТСН «Черёмушки», переулок Приозёрный, земельный участок 4.

600

-

206

86:04:0000001:35960

Ведение садоводства

Российская Федерация, Ханты-Мансийский автономный округ – Югра, городской округ Мегион, город Мегион, территория ТСН «Черёмушки», улица Центральная, земельный участок 72.

947

-

207

86:04:0000001: 36087

Ведение садоводства

Российская Федерация, Ханты-Мансийский автономный округ – Югра, городской округ Мегион, город Мегион, территория ТСН «Черёмушки»,  улица Центральная, земельный участок 70.

726

-

208

86:04:0000001: 37554

Ведение садоводства

Российская Федерация, Ханты-Мансийский автономный округ – Югра, городской округ Мегион, город Мегион, территория ТСН «Черёмушки», улица Центральная, земельный участок 68.

893

-

209

86:04:0000001: 100486

Ведение садоводства

Российская Федерация, Ханты-Мансийский автономный округ – Югра, городской округ Мегион, город Мегион, территория ТСН «Черёмушки», улица Центральная, земельный участок 66.

786

-

210

86:04:0000001: 36190

Ведение садоводства

Российская Федерация, Ханты-Мансийский автономный округ – Югра, городской округ Мегион, город Мегион, территория ТСН «Черёмушки», улица Центральная, земельный участок 64.

1074

-

211

86:04:0000001: 36100

Ведение садоводства

Российская Федерация, Ханты-Мансийский автономный округ – Югра, городской округ Мегион, город Мегион, территория ТСН «Черёмушки», улица Центральная, земельный участок 62.

728

-

212

86:04:0000001: 36361

Ведение садоводства

Российская Федерация, Ханты-Мансийский автономный округ – Югра, городской округ Мегион, город Мегион, территория ТСН «Черёмушки», улица Центральная, земельный участок 60.

703

-

215

86:04:0000001: 37316

Ведение садоводства

Российская Федерация, Ханты-Мансийский автономный округ – Югра, городской округ Мегион, город Мегион, территория ТСН «Черёмушки», улица Центральная, земельный участок 54.

760

-

218

86:04:0000001: 37010

Ведение садоводства

Российская Федерация, Ханты-Мансийский автономный округ – Югра, городской округ Мегион, город Мегион, территория ТСН «Черёмушки», улица Центральная, земельный участок 48.

717

-

220

86:04:0000001: 36093

Ведение садоводства

Российская Федерация, Ханты-Мансийский автономный округ – Югра, городской округ Мегион, город Мегион, территория ТСН «Черёмушки», улица Центральная, земельный участок 44.

756

-

221

86:04:0000001: 36113

Ведение садоводства

Российская Федерация, Ханты-Мансийский автономный округ – Югра, городской округ Мегион, город Мегион, территория ТСН «Черёмушки», улица Центральная, земельный участок 42.

921

-

222

86:04:0000001: 97160

Ведение садоводства

Российская Федерация, Ханты-Мансийский автономный округ – Югра, городской округ Мегион, город Мегион, территория ТСН «Черёмушки», улица Центральная, земельный участок 40.

660

-

224

86:04:0000001: 37129

Ведение садоводства

Российская Федерация, Ханты-Мансийский автономный округ – Югра, городской округ Мегион, город Мегион, территория ТСН «Черёмушки», улица Центральная, земельный участок 36.

630

-

226

86:04:0000001: 36525

Ведение садоводства

Российская Федерация, Ханты-Мансийский автономный округ – Югра, городской округ Мегион, город Мегион, территория ТСН «Черёмушки», улица Центральная, земельный участок 32.

630

-

227

86:04:0000001: 37107

Ведение садоводства

Российская Федерация, Ханты-Мансийский автономный округ – Югра, городской округ Мегион, город Мегион, территория ТСН «Черёмушки», улица Центральная, земельный участок 30.

1128

-

228

86:04:0000001: 36153

Ведение садоводства

Российская Федерация, Ханты-Мансийский автономный округ – Югра, городской округ Мегион, город Мегион, территория ТСН «Черёмушки», улица Центральная, земельный участок 28.

1117

-

235

86:04:0000001: 37081

Ведение садоводства

Российская Федерация, Ханты-Мансийский автономный округ – Югра, городской округ Мегион, город Мегион, территория ТСН «Черёмушки», переулок Строителей, земельный участок 15.

440

-

236

86:04:0000001: 36318

Ведение садоводства

Российская Федерация, Ханты-Мансийский автономный округ – Югра, городской округ Мегион, город Мегион, территория ТСН «Черёмушки», переулок Строителей, земельный участок 13.

694

-

239

86:04:0000001: 36086

Ведение садоводства

Российская Федерация, Ханты-Мансийский автономный округ – Югра, городской округ Мегион, город Мегион, территория ТСН «Черёмушки», переулок Строителей, земельный участок 2.

1307

-

240

86:04:0000001: 100432

Ведение садоводства

Российская Федерация, Ханты-Мансийский автономный округ – Югра, городской округ Мегион, город Мегион, территория ТСН «Черёмушки», улица Центральная, земельный участок 26.

761

-

245

86:04:0000001: 36109

Ведение садоводства

Российская Федерация, Ханты-Мансийский автономный округ – Югра, городской округ Мегион, город Мегион, территория ТСН «Черёмушки», переулок Строителей, земельный участок 5.

1488

-

248

86:04:0000001: 37762

Ведение садоводства

Российская Федерация, Ханты-Мансийский автономный округ – Югра, городской округ Мегион, город Мегион, территория ТСН «Черёмушки», улица Центральная, земельный участок 18.

612

-

256

86:04:0000001: 36108

Ведение садоводства

Российская Федерация, Ханты-Мансийский автономный округ – Югра, городской округ Мегион, город Мегион, ТСН «Черёмушки», переулок Озёрный, земельный участок 13.

975

-

257

86:04:0000001: 36107

Ведение садоводства

Российская Федерация, Ханты-Мансийский автономный округ – Югра, городской округ Мегион, город Мегион, территория ТСН «Черёмушки», переулок Озёрный, земельный участок 11.

975

-

258

86:04:0000001: 37082

Ведение садоводства

Российская Федерация, Ханты-Мансийский автономный округ – Югра, городской округ Мегион, город Мегион, ТСН «Черёмушки», переулок Озёрный, земельный участок 9.

868

-

267

86:04:0000001: 37114

Ведение садоводства

Российская Федерация, Ханты-Мансийский автономный округ – Югра, городской округ Мегион, город Мегион, территория ТСН «Черёмушки», переулок Зелёный, земельный участок 5.

983

-

278

86:04:0000001: 37007

Ведение садоводства

Российская Федерация, Ханты-Мансийский автономный округ – Югра, городской округ Мегион, город Мегион, территория ТСН «Черёмушки», переулок Зелёный, земельный участок 14.

589

-

281

86:04:0000001: 37226

Ведение садоводства

Российская Федерация, Ханты-Мансийский автономный округ – Югра, городской округ Мегион, город Мегион, территория ТСН «Черёмушки», переулок Зелёный, земельный участок 6.

1225

-

Сведения о границах территории, в отношении которой утвержден проект межевания

Номер точки

X

Y

1

2

3

4

5

6

7

8

9

10

11

12

13

14

15

16

17

18

19

20

21

22

23


1

964816.50

964862.00

964880.00

964930.30

965179.60

965215.30

964980.50

965012.40

964821.00

964512.80

964538.90

964285.70

964145.60

964271.20

964458.70

964560.10

964562.70

964569.10

964577.40

964603.40

964590.50

964670.50

964559.40

964816.50


4397164.60

4397310.80

4397353.50

4397611.50

4397503.80

4397630.40

4397735.70

4397847.80

4397972.40

4398132.90

4398262.40

4398412.10

4398317.40

4398114.50

4397964.70

4397928.00

4397858.50

4397803.70

4397791.70

4397781.10

4397682.00

4397565.60

4397237.60

4397164.60







.




Опубликовано 20.06.2022

Возврат к списку